Об этом сообщает CNN.
Читайте также: Ураган "Майкл" достиг Флориды в США: жуткие фото и видео
По словам Трэвиса Брукса, директора управления чрезвычайных ситуаций в округе Семиноль, что в Джорджии, ребенок умер после того, как что-то упало на дом, где он находился. Детали остаются неизвестными, поскольку спасатели еще не смогли попасть к месту трагедии.
Сейчас почти 500 тысяч человек остались без электричества в штатах Алабама, Джорджия и Флорида в результате удара урагана "Майкл".
Для ликвидации разрушительных последствий стихии во Флориде задействованы тысячи сотрудников экстренных служб и 2,5 тысячи военных. На территории штата организовано более 50 пунктов временного размещения, в которых находится почти 7 тысяч человек.
Video shot by https://t.co/q6QCsNZFQb shows Hurricane Michael's eye wall over Mexico Beach, Florida. pic.twitter.com/J2srBhC1Ji
— Josh Berlinger (@j_berlingerCNN) 11 жовтня 2018 р.
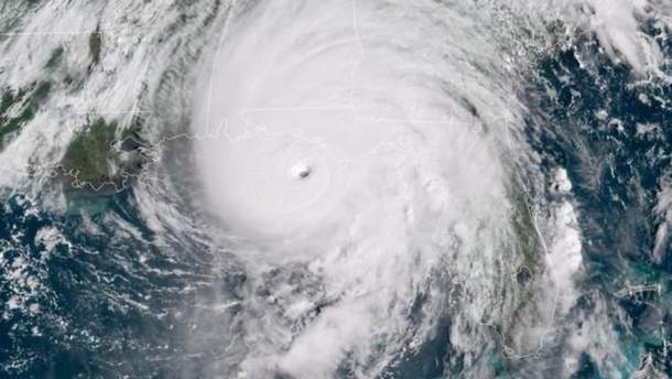
Ранее в четверг, 10 октября, Национальный центр США по предупреждению ураганов сообщил, что "Майкл" ослабел до первой из пяти категорий. Однако метеорологи предупредили, что опасность продолжает быть высокой. Для Флориды "Майкл" стал самым мощным ураганом, достигшим северо-западного побережья штата за всю историю наблюдений, начиная с 1851 года. В связи с этим президент США Дональд Трамп объявил в штате чрезвычайное положение.
Напомним, 9 октября стало известно, что шторм "Майкл", который движется к южному побережью США, усилился до урагана первой категории. Следует отметить, что на своем пути к США ураган "Майкл" уже ударил по Мексике и Кубе.

