Про це повідомляє CNN.
Читайте також: Ураган "Майкл" досягнув Флориди у США: моторошні фото і відео
За словами Тревіса Брукса, директора управління надзвичайних ситуацій в окрузі Семіноль, що у Джорджії, дитина померла після того, як щось впало на будинок, де вона перебувала. Деталі залишаються невідомими, оскільки рятувальники ще не змогли потрапити до місця трагедії.
Наразі майже 500 тисяч людей залишилися без електрики в штатах Алабама, Джорджія і Флорида в результаті удару урагану "Майкл".
Для ліквідації руйнівних наслідків стихії у Флориді задіяні тисячі співробітників екстрених служб і 2,5 тисячі військових. На території штату організовано понад 50 пунктів тимчасового розміщення, в яких перебуває майже 7 тисяч осіб.
Video shot by https://t.co/q6QCsNZFQb shows Hurricane Michael's eye wall over Mexico Beach, Florida. pic.twitter.com/J2srBhC1Ji
— Josh Berlinger (@j_berlingerCNN) 11 жовтня 2018 р.
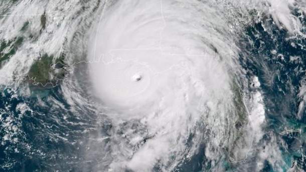
Раніше у четвер, 10 жовтня, Національний центр США з попередження ураганів повідомив, що "Майкл" ослаб до першої з п'яти категорій. Однак метеорологи попередили, що небезпека продовжує бути високою. Для Флориди "Майкл" став найпотужнішим ураганом, які досягли північно-західного узбережжя штату, за всю історію спостережень, починаючи із 1851 року. У зв'язку з цим президент США Дональд Трамп оголосив у штаті надзвичайний стан.
Нагадаємо, 9 жовтня стало відомо, що шторм "Майкл", який рухається до південного узбережжя США, посилився до урагану першої категорії. Слід зазначити, що на своєму шляху до США ураган "Майкл" вже вдарив по Мексиці та Кубі.

