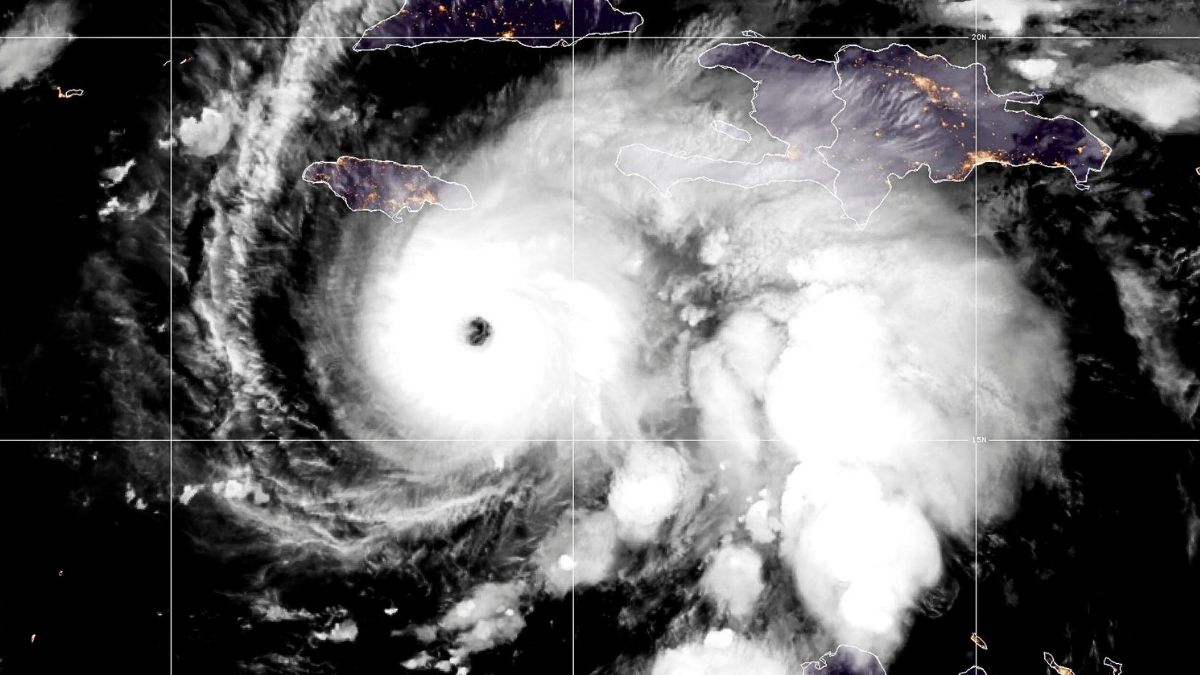
Самый большой шок в случае Мелиссы – не только ее мощность, но и темп роста силы. За одни сутки шторм резко усилился до уровня большого урагана с максимальными порывами до 170 миль в час. Ученые определяют это как "быструю интенсификацию" – явление, что все чаще наблюдается на фоне глобального потепления. Об этом сообщает 24 Канал со ссылкой на National Hurricane Center.
Смотрите также Магнитные бури в октябре: что готовит новая неделя и стоит ли ждать больших событий
Почему Мелисса так быстро усилилась и почему это опасно?
Такие ураганы становятся особенно опасными, ведь часто развиваются быстрее, чем метеослужбы успевают предупредить население и власть. Несмотря на прогресс прогнозирования, точный контроль быстрых изменений в структуре урагана еще нуждается в совершенствовании. Ключом к этому является детальные исследования внутренней части ураганов, особенно зоны вокруг глаза, и улучшенные высоко детальные цифровые модели. Перспективные AI-технологии также могут помочь, но они до сих пор проходят проверку.
Как пишет Science Alert, пример Мелиссы напоминает случаи урагана Отис в Мексике в в 2023 году и тайфуна Рай на Филиппинах в 2021-м, когда стремительное усиление привело к многочисленным жертвам из-за отсутствия времени на эвакуацию и подготовку.
На этот раз синоптикам удалось заблаговременно спрогнозировать риск категории 5, чему способствовало медленное перемещение шторма, но такая удача случается не всегда.
Для взрывного роста урагана требуется сочетание нескольких факторов: высокая влажность воздуха, теплые океанские воды и минимальная разница скорости ветра между уровнями атмосферы. Согласно научным данным, с начала 1980-х эти условия случаются чаще из-за повышения температуры моря и насыщенности атмосферы влагой – эффект, который невозможно объяснить естественными колебаниями. Исследователи уверены: именно изменения климата значительно увеличивают вероятность быстрой интенсификации штормов.
В районе формирования Мелиссы море ныне более чем на градус теплее нормы, вероятность таких условий возросла в сотни раз из-за глобального потепления. Теплые воды дают урагану больше энергии, а повышенный уровень моря усиливает штормовые волны. В то же время более теплая атмосфера удерживает больше влаги, что приводит к более сильным ливням.
К тому же Мелисса двигалась очень медленно, из-за чего Ямайка оказалась под угрозой катастрофического количества осадков – в горных районах могли выпасть до метра дождя, что увеличивает риск селевых потоков и масштабных наводнений. Есть исследования, которые также свидетельствуют, что на фоне изменения климата циклоны замедляются в целом, дольше задерживаясь над сушей и выплескивая больше воды.
Моделирование, проведено в Университете Рединга, подтвердило, что штормы прошлых десятилетий в нынешних условиях приносили бы еще большие осадки. Рост частоты быстрой интенсификации означает, что все больше ураганов достигают самых высоких категорий, и если прогноз окажется неточным – последствия могут быть смертельными.
Важно! По мере того как планета теплеет, угроза подобных событий будет только усиливаться. Это делает критически важными инвестиции в более точные методы наблюдения, моделирования и системы реагирования, чтобы в случае внезапного удара власти успели подготовиться и спасти людей.
Мелисса стала наглядным предупреждением: ураганы теперь усиливаются стремительнее, наносят более мощные удары и оставляют все меньше времени на спасение.
Почему Военные США пролетели сквозь эпицентр шторма Мелисса?
Карибский регион замер в ожидании разрушительного урагана "Мелисса", который уже достиг пятой категории, самой высокой. Эксперты называют его штормом века для Ямайки и предупреждают о катастрофических последствиях. Но пока власть призывает к немедленной эвакуации, ВВС США показали, как выглядит стихия изнутри.
Специальный 53-й разведывательный эскадрон ВВС США, известный как "Охотники за ураганами", совершил полет внутрь гигантского водоворота облаков, чтобы собрать данные для Национального центра ураганов. Опубликованные кадры демонстрируют жуткую тишину в так называемом "глазу шторма", которая резко контрастирует с его разрушительной силой по краям. Ураган "Мелисса" направляется к южному побережью Ямайки, где ожидается его выход на сушу. Метеорологи предупреждают, что стихия может спровоцировать гуманитарный кризис.


