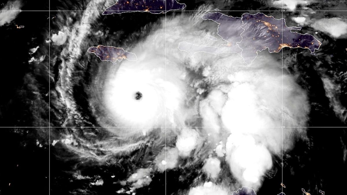
Найбільший шок у випадку Мелісси – не лише її потужність, а й темп зростання сили. За одну добу шторм різко посилився до рівня великого урагану з максимальними поривами до 170 миль на годину. Науковці визначають це як "швидку інтенсифікацію" – явище, що дедалі частіше спостерігається на тлі глобального потепління. Про це повідомляє 24 Канал із посиланням на National Hurricane Center.
Дивіться також Магнітні бурі у жовтні: що готує новий тиждень і чи варто чекати великих подій
Чому Мелісса так швидко посилилася і чому це небезпечно?
Такі урагани стають особливо небезпечними, адже часто розвиваються швидше, ніж метеослужби встигають попередити населення та владу. Попри прогрес прогнозування, точний контроль швидких змін у структурі буревію ще потребує вдосконалення. Ключем до цього є детальніші дослідження внутрішньої частини ураганів, особливо зони навколо ока, та покращені високо детальні цифрові моделі. Перспективні AI-технології також можуть допомогти, але вони досі проходять перевірку.
Як пише Science Alert, приклад Мелісси нагадує випадки урагану Отіс у Мексиці у 2023-му та тайфуну Рай на Філіппінах у 2021-му, коли стрімке посилення призвело до численних жертв через відсутність часу на евакуацію й підготовку.
Цього разу синоптикам вдалося завчасно спрогнозувати ризик категорії 5, чому сприяло повільне переміщення шторму, але така удача трапляється не завжди.
Для вибухового росту урагану потрібне поєднання кількох чинників: висока вологість повітря, теплі океанські води та мінімальна різниця швидкості вітру між рівнями атмосфери. Згідно з науковими даними, із початку 1980-х ці умови трапляються частіше через підвищення температури моря і насиченість атмосфери вологою – ефект, який неможливо пояснити природними коливаннями. Дослідники впевнені: саме зміни клімату значно збільшують ймовірність швидкої інтенсифікації штормів.
У районі формування Мелісси море нині більш ніж на градус тепліше за норму, імовірність таких умов зросла в сотні разів через глобальне потепління. Тепліші води дають урагану більше енергії, а підвищений рівень моря підсилює штормові хвилі. Водночас тепліша атмосфера утримує більше вологи, що призводить до сильніших злив.
До того ж Мелісса рухалася дуже повільно, через що Ямайка опинилася під загрозою катастрофічної кількості опадів – у гірських районах могли випасти до метра дощу, що збільшує ризик селевих потоків і масштабних повеней. Є дослідження, які також свідчать, що на тлі зміни клімату циклони сповільнюються загалом, довше затримуючись над сушею й виплескуючи більше води.
Моделювання, проведене в Університеті Редінга, підтвердило, що шторми минулих десятиліть у нинішніх умовах приносили б ще більші опади. Зростання частоти швидкої інтенсифікації означає, що дедалі більше ураганів досягають найвищих категорій, і якщо прогноз виявиться неточним – наслідки можуть бути смертельними.
Важливо! У міру того як планета теплішає, загроза подібних подій лише посилюватиметься. Це робить критично важливими інвестиції в точніші методи спостереження, моделювання і системи реагування, щоб у разі раптового удару влада встигла підготуватися та врятувати людей.
Мелісса стала наочним попередженням: урагани тепер посилюються стрімкіше, завдають потужніших ударів і залишають все менше часу на порятунок.
Чому Військові США пролетіли крізь епіцентр шторму Мелісса?
Карибський регіон завмер в очікуванні руйнівного урагану "Мелісса", який уже досяг п'ятої категорії, найвищої. Експерти називають його штормом століття для Ямайки та попереджають про катастрофічні наслідки. Але поки влада закликає до негайної евакуації, ВПС США показали, як виглядає стихія зсередини.
Спеціальний 53-й розвідувальний ескадрон ВПС США, відомий як "Мисливці за ураганами", здійснив політ всередину гігантського виру хмар, щоб зібрати дані для Національного центру ураганів. Опубліковані кадри демонструють моторошну тишу в так званому "оці шторму", яка різко контрастує з його руйнівною силою по краях. Ураган "Мелісса" прямує до південного узбережжя Ямайки, де очікується його вихід на сушу. Метеорологи попереджають, що стихія може спровокувати гуманітарну кризу.


