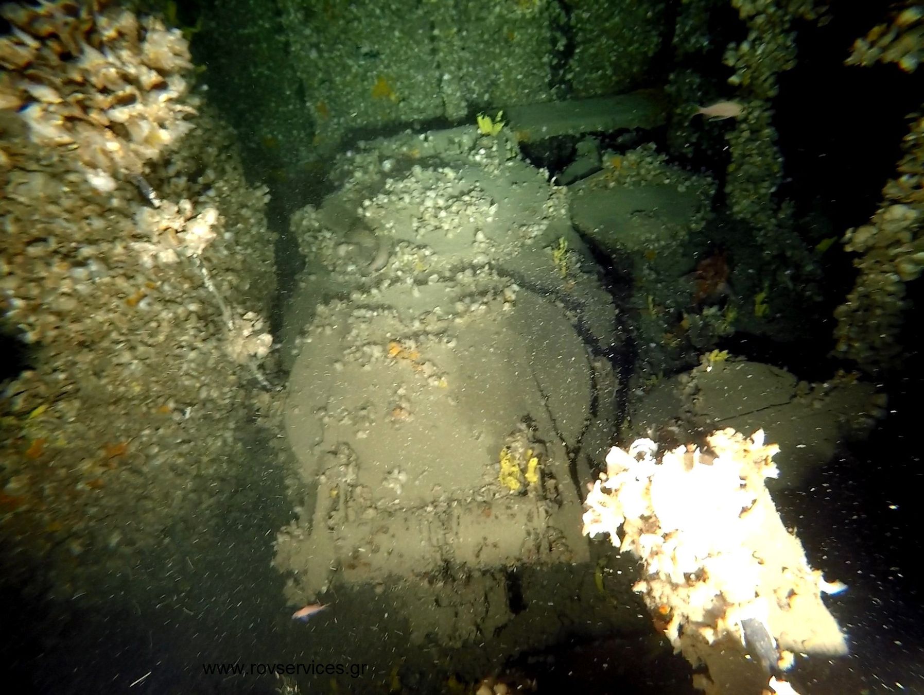
Ветеран дайвінгу Костас Токтарідес з командою виявили уламки в Егейському морі, у місці "за десятки кілометрів" від мису Суніон на глибині близько 203 метрів. Закриті люки та втягнутий перископ вказують на те, що підводний човен пірнав, коли затонув.
Дивіться також Поряд із Римом знайшли древнє затоплене поселення, якому не менше 9 000 років
Як сьогодні виглядає HMS Triumph
Носова частина човна була сильно пошкоджена вибухом, який майже напевно й затопив підводний транспорт. Але незрозуміло, чи був цей вибух зовнішнім — можливо, від глибинного заряду або морської міни — чи внутрішнім, що означає, що він міг бути спричинений вибухом однієї з власних торпед субмарини. Зараз команда працює з експертами з підводних човнів і торпед, щоб "дати нам відповіді, які ми шукаємо", кажуть дослідники.
Токтарідес займався пошуками уламків "Тріумфу" понад 20 років і каже, що це було надзвичайно складно – тут сильні течії та часті шторми. Він каже, що історія цього корабля є унікальною і нерозривно пов'язана з грецьким опором та секретними службами, які діяли за часів італійсько-німецької окупації.
Залишки підводного човна "Тріумф" / Фото K. Thoctarides/PlanetBlue.gr







- HMS "Тріумф" був спущений на воду в 1938 році й виконав понад 20 місій під час Другої світової війни, включаючи атаки на кораблі та підводні човни.
- Найбільше судно відоме своєю роллю в таємних операціях, включаючи порятунок кількох солдатів союзників, що потрапили в пастку в Північній Африці, і проникнення в Грецію — тодішню ворожу територію — британських розвідників, які допомагали тамтешньому руху опору.
- Серед інших місій, у 1941 році підводний човен таємно доставив капітана Білла Хадсона, офіцера Британського управління спеціальних операцій (SOE), до сербського порту Петровац на Адріатичному узбережжі, що перебував під контролем ворога, на допомогу югославським партизанам — це була одна з перших місій SOE, передвісник усіх подальших спеціальних операцій.
Згідно з військово-морськими документами, "Тріумф" таємно зайшов у затоку Деспотікос, біля острова Антипарос на Кікладських островах, у грудні 1941 року. 30 грудня підводний човен надіслав зашифроване повідомлення про те, що він висадив британську військову розвідувальну групу, а 9 січня мав урятувати понад 30 британських в'язнів з сусіднього Антипаросу. Але "Тріумф" так і не з'явився. Втікачі були заарештовані. 23 січня 1942 року Королівський військово-морський флот вважав підводний човен зниклим безвісти в морі з 64 членами екіпажу на борту.
Екіпаж
Схоже, що екіпаж загинув під час затоплення.
Я вважаю, що всі 64 герої знаходяться в підводному човні, оскільки вони були в глибокому зануренні й усі люки закриті. До "Тріумфу" треба ставитися з повагою і святістю, на яку він заслуговує як морська військова могила,
– каже Рена Гіатропулу Токтарідес, одна з дослідниць.
Так само важливо повідомити сім'ї загиблих членів екіпажу, адже вони так і не дізналися, що насправді сталося з їхніми рідними.


